FAGACEAE - - Beech Family
|
|
|
|
|
|
|
|
|
|
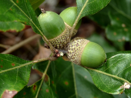
Boynton Oak (Quercus boyntonii) - Shrub 1—5 m. tall, the bark gray, often tinged with brown or black, broken into broad irregular apressed scales; leaf-blades cuneate in outline, often narrowly so, 5—9 cm. long, with 3—7 small obtuse lobes above the middle or near the apex; tomentose beneath; acorn sessile or nearly so; cup turbinate, 9—12 mm. wide; nut oval or ovoid, 12—15 mm. long.
This species occurs in sandstone glades within a matrix of pine-oak-hickory forest.
Habitat information from:
Weakley, Alan S., Flora of the Southern and Mid-Atlantic States, Working Draft of 21 May 2015.

The range of Quercus boyntonii (Boynton Oak)
Kartesz, J.T., The Biota of North America Program (BONAP). 2015. North American Plant Atlas. (http://bonap.net/napa). Chapel Hill, N.C. [maps generated from Kartesz, J.T. 2015. Floristic Synthesis of North America, Version 1.0. Biota of North America Program (BONAP). (in press)].
There are presently no collections of this species at UGA, therefore no GA range map available.
Guide to the Trees of North Georgia and Adjacent States
Web Page © Richard Ware
send Richard an E-mail